Eladó sorház - Szeged

KAPCSOLAT
Tejfel Éva


+36 70 306

e.tejfel@

Az időpont kérés naptár ikonja
IDŐPONTOT KÉREK
A visszahívás kérés telefon ikonja egy azt körbe ölelő nyíllal
VISSZAHÍVÁST KÉREK
Ajánlom egy ismerősömnek ikon
AJÁNLOM EGY ISMERŐSÖMNEK
Facebook megosztás ikon
MEGOSZTÁS

KAPCSOLATFELVÉTEL

Küldés

Az üzenetet sikeresen elküldtük!
Hiba történt!
INGATLAN ADATAI

Ingatlan jellege

sorház

Belső terület

84 m²

Telek terület

100 m²

Építési állapot

használt

Építési mód

- nem meghatározott -

Szobák száma

3+2 félszoba

Épület szintje

1.

Ingatlan állapot

kívül: jó
belül: jó

Fűtés

cirko

Komfort

összkomfort

Közműállapot

csatorna: bekötve
gáz: bekötve
villany: bekötve
víz: bekötve

Az időpont kérés naptár ikonja
HTML
Az időpont kérés naptár ikonja
PDF
Eladó sorház
Belső azonosító:
389323
Ingatlan azonosító:
35310_gimp

Csongrád megye, Szeged, Béketelep

Irányár

89.9 M Ft
(1.07 M Ft/㎡)

Szobák

3+2 félszoba

Emelet

Terület

84 m²

Telek terület

100 m²
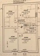
INGATLAN LEÍRÁSA
Kiváló elhelyezkedésű sorházi lakás eladó!

Szeged-Béketelepen eladó egy 2008-ban épült,4 lakásból álló sorházi ingatlan leghátsó lakása, amely ideális választás családok számára.
Az ingatlan kis udvarrésszel, saját 18m2-es garázzsal (galériás tárolóval) és tágas, 24 m²-es, részben fedett terasszal rendelkezik – tökéletes hely a pihenésre vagy közös családi programokra.
A lakótér belső 2 szintes, alsó részen kapott helyet az amerikai konyhás nappali, egy hálószoba, spájz és egy fürdőszoba.
Az emeleti részen 3 szoba található és szintén egy fürdőszoba.
A ház 10 cm-es hőszigeteléssel és napkollektoros rendszerrel van ellátva, így energiahatékony és fenntartható otthont biztosít új tulajdonosának.

Az ingatlan nagyon jó lakóközösségű, a közös udvar szépen gondozott, az utcáról elektromos kapun keresztül lehet bejutni az udvarra.

Ha felkeltette a hirdetés az érdeklődését és további információra lenne szüksége keressen a megadott elérhetőségeken.

INGATLAN ADATAI

Ingatlan jellege
sorház
Belső terület
84 m²
Telek terület
100 m²
Építési állapot
használt
Építési mód
- nem meghatározott -
Szobák száma
3+2 félszoba
Épület szintje
1.
Ingatlan állapot
kívül: jó
belül: jó
Fűtés
cirko
Komfort
összkomfort
Közműállapot
csatorna: bekötve
gáz: bekötve
villany: bekötve
víz: bekötve
Energetika
TÉRKÉP

Csongrád megye, Szeged, Béketelep

KAPCSOLAT
Tejfel Éva
Tejfel Éva


+36 70 306 5123

e.tejfel@gdn-ingatlan.hu

KAPCSOLAT
Tejfel Éva

+36 70 306

e.tejfel@

Az időpont kérés naptár ikonja
IDŐPONTOT KÉREK
A visszahívás kérés telefon ikonja egy azt körbe ölelő nyíllal
VISSZAHÍVÁST KÉREK
Ajánlom egy ismerősömnek ikon
AJÁNLOM EGY ISMERŐSÖMNEK
Facebook megosztás ikon
MEGOSZTÁS

KAPCSOLATFELVÉTEL

Küldés

Az üzenetet sikeresen elküldtük!
Hiba történt!
INGATLAN ADATAI

Ingatlan jellege

sorház

Belső terület

84 m²

Telek terület

100 m²

Építési állapot

használt

Építési mód

- nem meghatározott -

Szobák száma

3+2 félszoba

Épület szintje

1.

Ingatlan állapot

kívül: jó
belül: jó

Fűtés

cirko

Komfort

összkomfort

Közműállapot

csatorna: bekötve
gáz: bekötve
villany: bekötve
víz: bekötve

Energetika

Az időpont kérés naptár ikonja
HTML
Az időpont kérés naptár ikonja
PDF
Csongrád megye - Szeged
Csongrád megye - Szeged
Csongrád megye - Szeged
Csongrád megye - Szeged
Csongrád megye - Szeged
Csongrád megye - Szeged
Csongrád megye - Szeged
Csongrád megye - Szeged
Csongrád megye - Szeged
Csongrád megye - Szeged
Csongrád megye - Szeged
Csongrád megye - Szeged
Csongrád megye - Szeged
Csongrád megye - Szeged